Jamaica empieza a retomar la normalidad después del paso del Huracán Melissa, el ciclón más poderoso de la temporada 2025 y el segundo más intenso del Atlántico en la historia.
El huracán Melissa, el más poderoso registrado en el Caribe en los últimos años, golpeó con extrema violencia a Jamaica, dejando un panorama desolador en los principales centros turísticos del país.
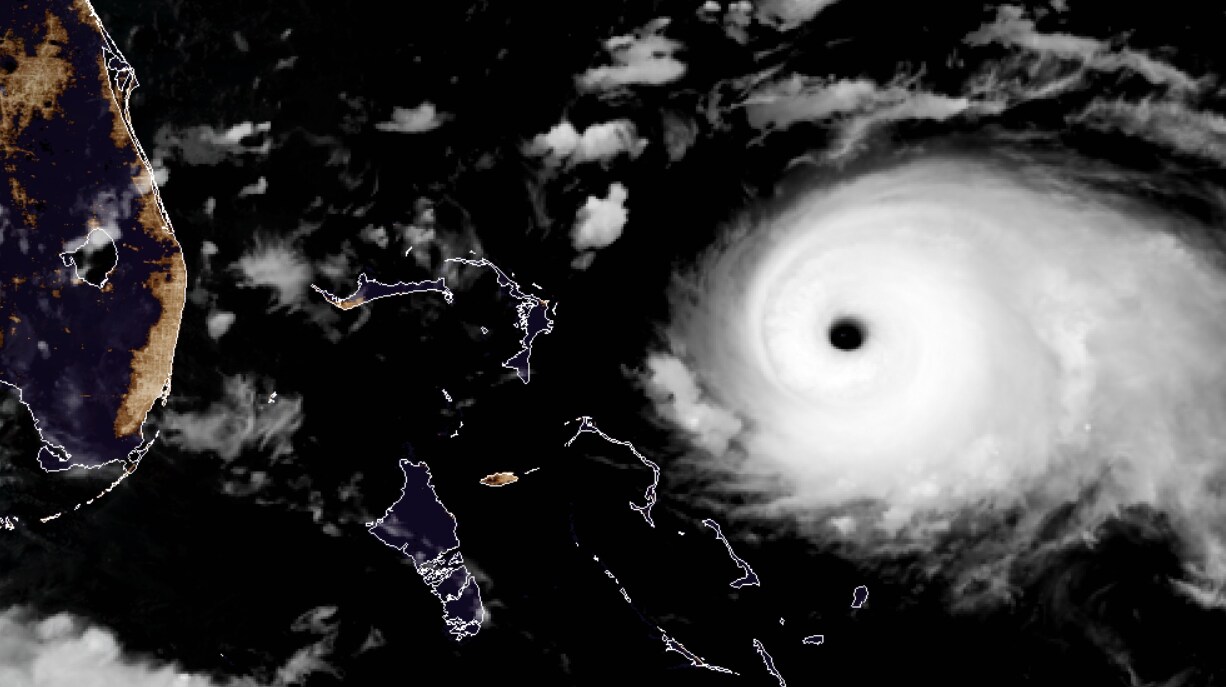
El huracán Melissa se aproxima a Jamaica convertido en una tormenta de categoría 5, con vientos máximos sostenidos de 175 millas por hora (280 km/h), lo que la convierte en el huracán más poderoso que ha tocado tierra en la isla en toda su historia.
El huracán Melissa, una tormenta categoría 4 con potencial de intensificarse a categoría 5, avanza hacia Jamaica desde el norte del Caribe, convirtiéndose en la amenaza meteorológica más grave que la isla haya enfrentado en su historia reciente.
La tormenta tropical Melissa se ha formado en el Mar Caribe, convirtiéndose en el decimotercer ciclón nombrado de la temporada de huracanes del Atlántico 2025, según informó el Centro Nacional de Huracanes (NHC) de Estados Unidos.
El Centro Nacional de Huracanes (NHC) mantiene bajo vigilancia una onda tropical identificada como Invest 98L, que avanza hacia el Mar Caribe y podría convertirse en un nuevo sistema tropical durante los próximos días
La llegada de la DANA “Alice” ha golpeado con fuerza el este de España, dejando un amplio rastro de inundaciones, apagones eléctricos, carreteras cortadas y miles de afectados en comunidades como Valencia, Murcia, Baleares y Cataluña.
La actual temporada de huracanes en el Atlántico está mostrando un comportamiento inusual que ha llamado la atención de los meteorólogos: muchas tormentas tropicales y huracanes están girando hacia el Atlántico Norte, en lugar de dirigirse hacia el Caribe o las costas de América.




