- Viajeros de todo el mundo han recibido un gran impulso con la noticia de que dos vacunas contra la COVID-19, con más del 90% de efectividad, están en las fases finales de desarrollo.
- Meliá Hotels International, hotelera líder en España, ha obtenido la segunda máxima puntuación de la industria turística mundial en el último Corporate Sustainability Assessment (CSA).
- La primera gran conferencia en la "nueva normalidad" del mundo con COVID-19 tendrá lugar en Cancún, México, del 23 al 25 de marzo de 2021, auspiciada por el Consejo Mundial de Viajes y Turismo (WTTC).
- Dos empresas líderes en sus campos han combinado fuerzas para producir un nuevo robot "mini UVC" de gran capacidad para la desinfección segura y autónoma de los edificios públicos.
- Los hoteleros de Cancún ven como lamentable la postura del director general de Fonatur, Rogelio Jiménez Pons, quien dijo recientemente que el sistema de hoteles “Todo Incluido” es un modelo turístico hotelero agotado que debe cesar.
- Caribbean News Digital entrevista a Carol Hay por primera vez desde que concluyera su trabajo en CTO y abriera la empresa McKenzie Gayle Limited.
- IFEMA y Madrid serán el escenario estratégico que acogerá, de nuevo y dentro de unos meses, la celebración de FITUR MICE, en el marco de la gran cita internacional del turismo, FITUR 2021.
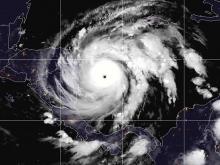
Iota, que la madrugada de este lunes se intensificó hasta convertirse en un huracán de categoría mayor, alcanzó esta mañana la categoría 5.
- Aerolíneas Argentinas anunció su programación de vuelos internacionales para la temporada de verano con un importante incremento en oferta y frecuencias por destino.
- Emplazado en un sector privilegiado de una de las ciudades más bellas de Bolivia abre sus puertas Swissôtel Santa Cruz de la Sierra.




